新築戸建てを探す
新築戸建を探す
沿線から探す
エリアから探す
マップから探す
中古戸建てを探す
マンションを探す
中古マンションを探す
土地を探す
最近見た物件
ログイン
会員登録
チェックした物件を
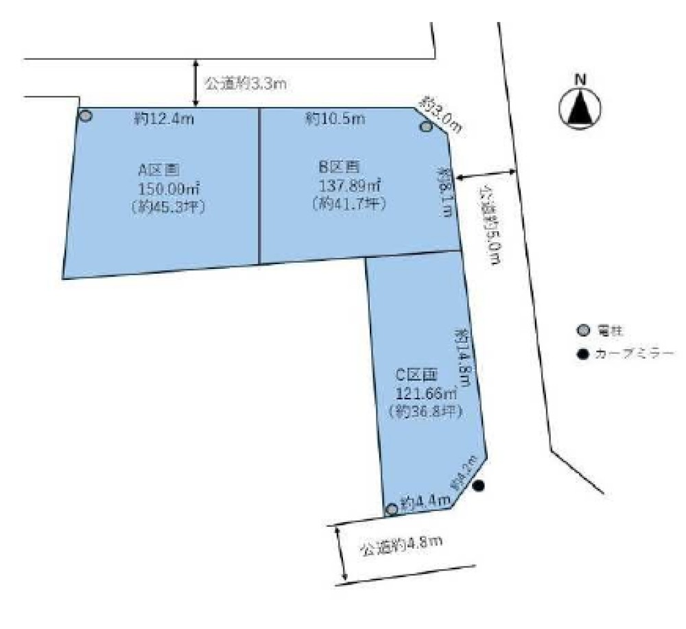
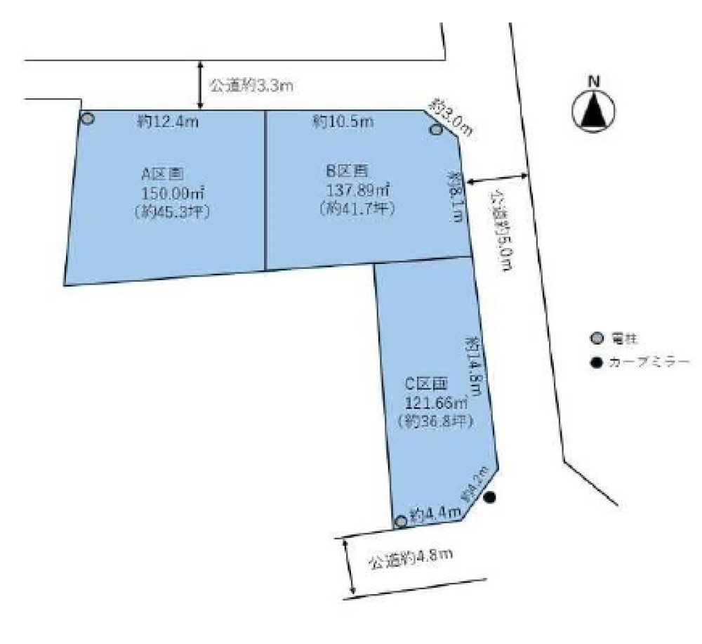
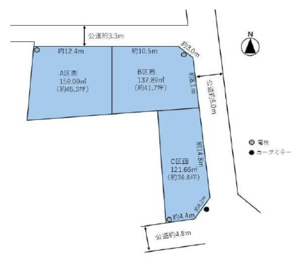
会員限定 豊橋市向山大池町
お気に入り登録・会員限定物件の閲覧・検索条件の保存をするには、会員登録が必要です。
お気に入り物件を保存できる!
会員限定物件が閲覧できる!
プライスダウン情報が届く!
新着物件をメール配信!
検索条件を保存できる!
1分で完了!
既に会員のお客様はこちら
会員限定 岡崎市中島町 Ⅰ 全8区画 7号地
会員限定 岡崎市中島町 Ⅰ 全8区画 6号地
会員限定 岡崎市中島町 Ⅰ 全8区画 5号地
会員限定 岡崎市中島町 Ⅰ 全8区画 4号地
会員限定 岡崎市中島町 Ⅰ 全8区画 3号地
会員限定 岡崎市中島町 Ⅰ 全8区画 2号地
会員限定 岡崎市中島町 Ⅰ 全8区画 1号地
会員限定 一宮市木曽川町
会員限定 大府市東新町
会員限定 名古屋市南区弥次ヱ町
会員限定 豊橋市牛川町
会員限定 名古屋市西区こも原町 1期 1号地
2,300万円
会員限定 名古屋市南区上浜町
会員限定 安城市緑町
会員限定 豊橋市東脇三丁目
会員限定 豊橋市花中町
会員限定 稲沢市小池
総物件数
11688件
会員限定物件
7116件
メリット1
会員限定物件の閲覧
メリット2
新着物件をメール配信
メリット3
プライスダウン物件を配信
メリット4
キャンペーン・お役立ち情報をお届け
メリット5
お気に入り物件を保存
メリット6
自動入力で簡単問い合わせ